Hurrikan »Melissa«: Der stärkste Sturm 2025

Die größte Bedrohung durch Wirbelsturm »Melissa« sind weder die extremen Windböen noch die Sturmflut, die er mit sich bringt: Die größte Gefahr droht durch die Wassermassen, die der langsam ziehende Hurrikan auf seinem Weg über Jamaika abladen könnte. Bis zu 1000 Liter pro Quadratmeter werden für Teile der betroffenen Region prognostiziert. In besonders exponierten Lagen könnten sogar die doppelten Mengen zusammenkommen, warnen Wetterbehörden: Großflächige Überschwemmungen und zahlreiche Erdrutsche werden nicht nur auf Jamaika erwartet, sondern bedrohen auch weiterhin Teile der Insel Hispaniola. Das gilt vor allem für den haitianischen Teil, wo die meisten Hügel und Berge komplett entwaldet und daher stark durch Erosion gefährdet sind.
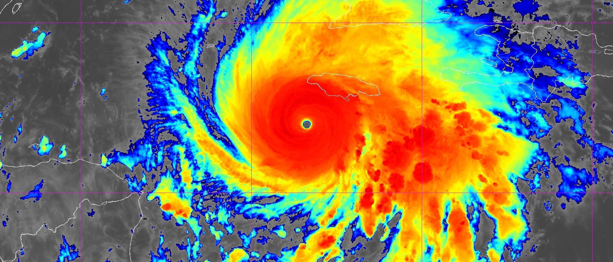
Der Hurrikan war am 16. Oktober als Tiefdruckstörung vor der westafrikanischen Küste entstanden, die sich dann über den Atlantik in Richtung Karibik bewegt hat. Dort entwickelte sie sich zuerst zum Tropensturm, der mehrere Tage relativ unorganisiert durch das warme Wasser der Region zog, bevor er sich ab dem 25. bis 27. Oktober rapide intensivierte und zu einem Hurrikan der Kategorie 5 anwuchs. Inzwischen gehört er zu den acht stärksten Wirbelstürmen, die seit Aufzeichnungsbeginn im Atlantik entstanden sind, und ist der bislang stärkste Wirbelsturm des Jahres weltweit.
Laut den letzten Daten sank sein Kerndruck noch weiter auf nur 901 Millibar im Zentrum: Der Sturm nahm an Stärke also noch zu und wies damit einen niedrigeren Druck auf als »Katrina«, die 2005 New Orleans verwüstete. Neben dem intensiven Regen bringt »Melissa« Sturmböen mit maximalen Windgeschwindigkeiten von bis zu 280 Kilometern pro Stunde und stellenweise Sturmfluten von bis zu vier Metern Höhe. Die Behörden auf Jamaika und Kuba, wohin die Bahn des Hurrikans als Nächstes führt, haben daher Evakuierungen in tiefliegenden Küstenregionen angeordnet.
Im Gegensatz zu landläufigen Annahmen »rasen« Wirbelstürme nicht über das betroffene Gebiet hinweg, sondern ziehen relativ langsam: »Melissa« etwa bewegt sich mit sieben Kilometern pro Stunde fort. Das sorgt teils für tagelangen Dauerregen, der Böden übersättigt und großteils oberirdisch abläuft: Überflutungen und Erdrutsche sind daher meist die eigentliche Gefahr durch die Stürme.
»Melissas« weiterer Weg führt sie dann über den Atlantik. Als ehemaliger Wirbelsturm wird sie in die westliche Strömung auf dem Nordostatlantik eingebunden und schaufelt milde Subtropikluft nach Deutschland. Wie sie das Wettergeschehen in Deutschland bestimmt, ist nach Prognosen des Deutschen Wetterdienstes derzeit jedoch noch sehr unsicher.
Wenn Sie inhaltliche Anmerkungen zu diesem Artikel haben, können Sie die Redaktion per E-Mail informieren. Wir lesen Ihre Zuschrift, bitten jedoch um Verständnis, dass wir nicht jede beantworten können.